Центр организации дорожного движения (ЦОДД) планирует изменить движение на перекрестке улиц Новороссийской и Басаргина во Владивостоке. По новому проекту здесь установят светофоры, изменят ширину проезжей части, сделают направляющие островки и тротуары с пешеходным переходом, сообщает РИА VladNews со ссылкой на пресс-службу администрации Владивостока.
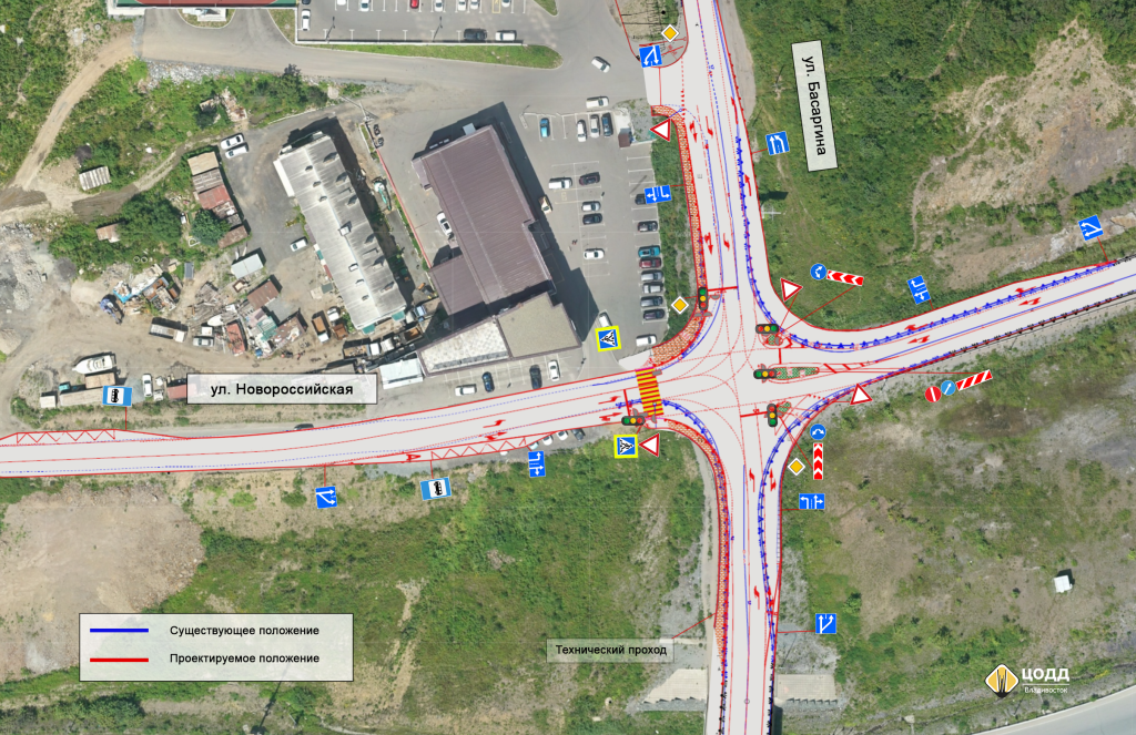
На перекрестке улиц Новороссийской и Басаргина изменят схему движения.
При движении к перекрестку со стороны Борисенко в границах проектирования ширина проезжей части будет расширена до 4 полос движения шириной 3,25 метра. При движении со всех остальных направлений – до 3 полос движения шириной от 3 до 3,5 метра.
При подъезде по объездной трассе Де-Фриз–Седанка–Патрокл со стороны Фадеева на перекрестке появятся 3 направляющих островка.
«После реконструкции мы ожидаем, в первую очередь, повышение уровня безопасности дорожного движения, а также удобства проезда - за счет светофорного регулирования и организации дополнительных полос для поворота. Это позволит исключить конфликты между транспортными потоками и сделать манёвры более предсказуемыми для водителей», - прокомментировала специалист по разработке проектов ЦОДД Анастасия Галкина.
Также для удобства местных жителей вдоль ул. Басаргина будет обустроен тротуар, а на ул. Новороссийской — пешеходный переход.
